VENTA DE FRACCION DE 14900 M2 EN MORENO SOBRE RUTA PROV.24

Ruta Provincial 24 1, Moreno

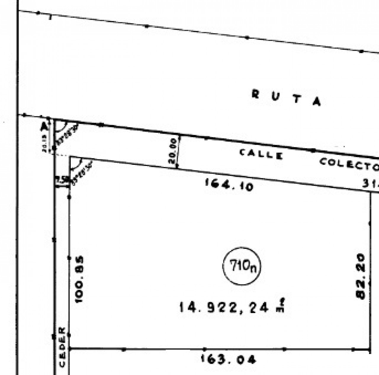
Fracción en Venta – Moreno

14.992 m² sobre Ruta Provincial 24 (ex 197), esquina Gral. Savio.

Oportunidad única para desarrolladores, inversores y empresas.
Fracción estratégica con gran frente sobre ruta, en esquina, con excelente visibilidad y accesibilidad.

164 m sobre Ruta 24

82 m sobre calle Santa Ana

Contra frentes: 100 m sobre Santa Ana y 163 m sobre Ruta 24

Ubicación privilegiada:

Pegado al Barrio Privado Santa Ana.

Cercano a Acceso Oeste y Autopista Buen Ayre.

Rápida llegada al Parque Industrial Moreno.

Rodeado de barrios privados y zonas residenciales en expansión.

Características:

Superficie total: 14.992 m².

Lote baldío, sin mejoras.

Potencial para emprendimientos logísticos, comerciales o residenciales.

Una fracción con la escala, ubicación y proyección que tu desarrollo necesita.
Las medidas, superficies y datos son aproximados y orientativos; las exactas surgirán de la escritura, planos y/o documentación correspondiente. Las imágenes y descripciones son ilustrativas. Publicación sujeta a modificaciones de precio, disponibilidad y condiciones sin previo aviso. No constituye oferta en los términos del Código Civil y Comercial de la Nación.

Más información

  • Sup. Cubierta : 1 m²
  • Sup. Semicubierta :
  • Sup. Descubierta :
  • Sup. Terreno Total : 14992 m²
  • Antigüedad :
  • Pisos :
  • Habitada : No

Características

Ubicación

¿Alguna duda?

Póngase en contacto con nosotros y lo asesoraremos

@2018 Cortiñas inmobiliaria Copyright , todos los derechos reservados

Software Inmobiliario - Sitio Inmuebles